Aphid Control: Protecting Your Plants at Home & Work
Are tiny pests damaging your beautiful plants? Aphids are common, small insects that feed on the sap of your beloved flowers, vegetables, and shrubs. They leave behind sticky residue and can make your plants look unhealthy. You might find them in your home garden, on indoor plants, or even in larger commercial landscapes. Aphids are often attracted to new plant growth and can quickly multiply, especially in warm weather. At Best Pest Control, we understand how frustrating aphids can be for both homeowners and businesses. Our expert team offers safe, effective pest control solutions to tackle these plant-destroying invaders. Learn how to identify aphids, understand why they appear, and discover the best treatment and prevention strategies to keep your property's greenery thriving. Whether it's your backyard or your business's landscaping, trust Best Pest Control to protect your plants from aphid damage.
Aphids Invading Your Garden? How to Protect Your Plants and Property!
Few things are as frustrating for a homeowner or business owner as discovering unwelcome pests damaging their beautiful plants. Among the most common and persistent culprits are aphids. These tiny invaders can quickly turn healthy foliage into a sticky, wilting mess. But don't worry – understanding aphids is the first step to effective control.
At Best Pest Control, we specialize in protecting your green spaces, whether it's your home garden or the landscaping around your business. Let's dig into everything you need to know about these pesky plant eaters.
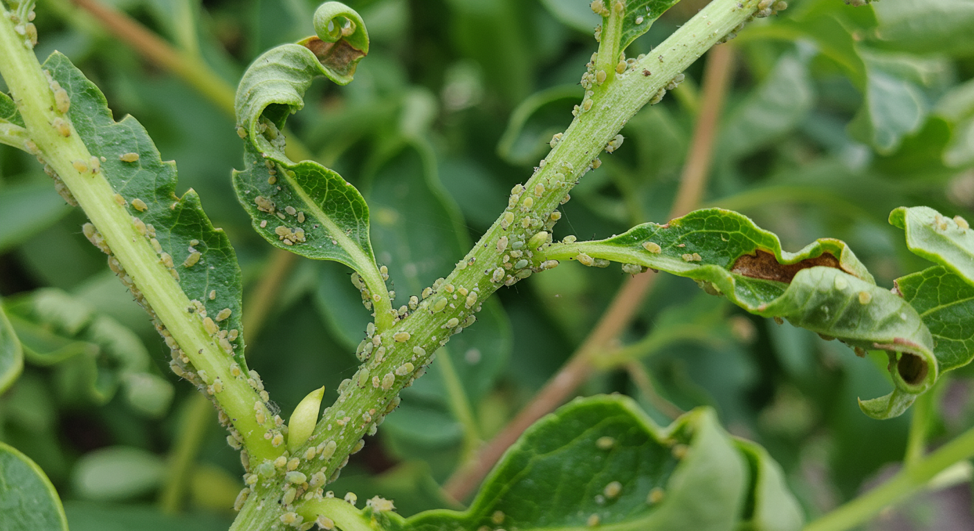
What Exactly Are Aphids?
Aphids are small, soft-bodied insects often called "plant lice." They're usually pear-shaped and come in a variety of colors, including green, black, white, gray, yellow, or pink. You'll often find them clustered on the undersides of leaves, on new growth, or around flower buds. Some even have wings, allowing them to spread quickly from plant to plant.

Why Do We Get Aphids, and Where Do They Come From?
Aphids are drawn to tender, new plant growth because it's easier for them to pierce and extract sap. They can appear almost out of nowhere because:
- Wind and Flight: Winged aphids can be carried by the wind or fly to new host plants, quickly colonizing an area.
- Overwintering Eggs: Many species lay eggs in the fall that survive the winter on plants, trees, and shrubs, hatching in the spring when temperatures rise.
- New Plants: Bringing new, already-infested plants into your home or garden can introduce aphids to your property.
- Favorable Conditions: Warm, mild weather and plants that are over-fertilized (which encourages new, soft growth) can create ideal conditions for aphid populations to boom.
You can find aphids almost anywhere plants grow – from your prize-winning roses and vegetable patches to indoor houseplants, fruit trees, shrubs, and even commercial crop fields. They're not picky!
The Hidden Danger: What Aphids Do to Your Plants
While tiny, aphids can cause significant damage. They feed by sucking nutrient-rich sap from plants, which can lead to:
- Stunted Growth and Wilting: Deprived of essential nutrients, plants struggle to grow and may look weak or droopy.
- Curled or Yellowed Leaves: As they feed, leaves can curl, crinkle, or turn yellow and eventually die.
- Honeydew and Sooty Mold: Aphids excrete a sticky, sugary substance called "honeydew." This isn't just unsightly; it encourages the growth of a black fungus known as sooty mold, which can further block sunlight from reaching the leaves, hindering photosynthesis.
- Disease Transmission: Aphids can also transmit plant viruses from one plant to another, spreading sickness throughout your garden or property.
A Quick Fact: Aphids are incredibly prolific. Some species can reproduce asexually, meaning a single aphid can give birth to live young without a mate, leading to massive infestations very quickly. A single aphid can produce up to 80 offspring in a week, allowing populations to explode in a short amount of time!
How to Deal with an Aphid Infestation
Dealing with aphids depends on the severity of the problem.
DIY Solutions for Light Infestations:
- Water Blast: For a small cluster, a strong spray of water from a hose can often dislodge aphids from leaves.
- Insecticidal Soap: A mixture of mild soap and water can be sprayed directly onto aphids to suffocate them. Make sure to cover the undersides of leaves.
- Natural Predators: Encourage beneficial insects like ladybugs, lacewings, and parasitic wasps, which love to eat aphids.
- Manual Removal: For very small numbers, you can simply wipe them off with your fingers or a soft cloth.
When to Call the Professionals:
While DIY methods work for minor issues, heavy infestations or recurring aphid problems often require a more robust solution. This is especially true for larger properties, commercial landscaping, or if you want to ensure your plants are protected without risking damage from improper treatments.
At Best Pest Control, we offer targeted Aphid Control services designed to safely and effectively eliminate these pests. Our approach includes:
- Thorough Inspection: We identify the extent of the infestation, the types of plants affected, and potential entry points or breeding grounds.
- Targeted Treatment: We use professional-grade, environmentally responsible products applied with precision to eliminate aphids without harming your plants, family, or pets. Our treatments are designed to get to the root of the problem.
- Prevention Strategy: We don't just treat the immediate issue; we provide advice and strategies to help prevent future aphid outbreaks, ensuring your plants stay healthy long-term.
Prevention is Key!
A little proactive effort can go a long way in keeping aphids at bay:
- Inspect New Plants: Before adding any new plants to your garden or home, carefully check them for signs of aphids.
- Maintain Plant Health: Healthy, vigorous plants are more resistant to pests. Ensure proper watering, adequate sunlight, and appropriate fertilization. Avoid over-fertilizing with nitrogen, which promotes tender growth that aphids love.
- Companion Planting: Certain plants, like marigolds, garlic, and chives, can deter aphids. Attract beneficial insects by planting dill, fennel, or cilantro nearby.
- Regular Monitoring: Periodically check your plants, especially new growth and the undersides of leaves, for early signs of aphids. Catching them early makes control much easier.
Need Expert Aphid Control in Walla Walla?
Don't let aphids ruin your beautiful landscaping or home garden. Whether you're dealing with a frustrating infestation on your roses at home or need a comprehensive plan to protect your business's outdoor spaces, Best Pest Control is here to help.
As a locally owned and family-operated company, we understand the unique pest challenges of Walla Walla and the surrounding Eastern Washington communities. We pride ourselves on providing reliable, safe, and effective solutions tailored to your specific needs. Our expert team serves areas including:
- Walla Walla
- Walla Walla East
- College Place
- Lowden
- Touchet
- Prescott
- Waitsburg
- Dixie
- Milton-Freewater (and nearby communities!)
When you choose Best Pest Control, you're choosing a partner dedicated to protecting your property and peace of mind.
Ready to reclaim your plants from aphids? Call Us Today for a Free Quote Or to Schedule Your Appointment!
Contact us today for a consultation! Our friendly team is available Mon - Fri: 7am to 6pm.
Call to text us at (509) 526-5002 or email info@bestpest.net. Let us help you keep your plants thriving!
Get Your Free Pest Control Quote for Your Walla Walla Home
Are pests causing trouble at your Walla Walla home? You don't have to live with them! Best Pest Control LLC is your local expert, ready to help. Simply fill out our quick form, and one of our friendly team members will call you back to discuss your needs and provide a FREE, no-obligation quote for effective pest removal. Let's make your home comfortable and pest-free again!
More Blogs
Some other blogs you might be interested in
Best Pest Prevention Plan for Homes and Businesses | Best Pest Control
Discover Best Pest Control's flexible, no-contract prevention plan. Keep your local home and business pest-free year-round with our unique, effective solutions.
Spider Control: Expert Tips for a Spider-Free Home | Best Pest Control
Spiders invading your Walla Walla home and business? Get expert tips and reliable spider control solutions from Best Pest Control. Learn how to remove spiders and keep your home and business pest-free and comfortable.
Cockroaches: Is Your Home a Magnet? | Best Pest Control
Discover why cockroaches might be drawn to your Walla Walla home. Learn simple ways to prevent them with help from Best Pest Control.